
Neglinge depå anpassas för framtiden
Vi anpassar Neglinge depå med en ny verkstadshall och bygger om i den befintliga depån så den kan ta emot Saltsjöbanans nya fordon. I Storängen bygger vi om uppställningsplatsen för veterantågen.
Därför ska depån byggas om
För att möta den ökade resandeefterfrågan och samtidigt åtgärda bullerproblematiken som omger de cirka 50 år gamla C10/C11-tågen som rullar på Saltsjöbanan idag ska Region Stockholm öka kapaciteten på banan med inköp av nya tåg. De nya tågen kommer innebära en tystare, trevligare och bättre resenärsupplevelse.
Våren 2022 beslutade regionstyrelsen att inleda upphandlingsarbetet för X25 som de nya tågen kallas. Innan X25 kan börja trafikera Saltsjöbanan behöver ett antal åtgärder utföras längs Saltsjöbanan, bland annat att bygga om Neglinge depå.
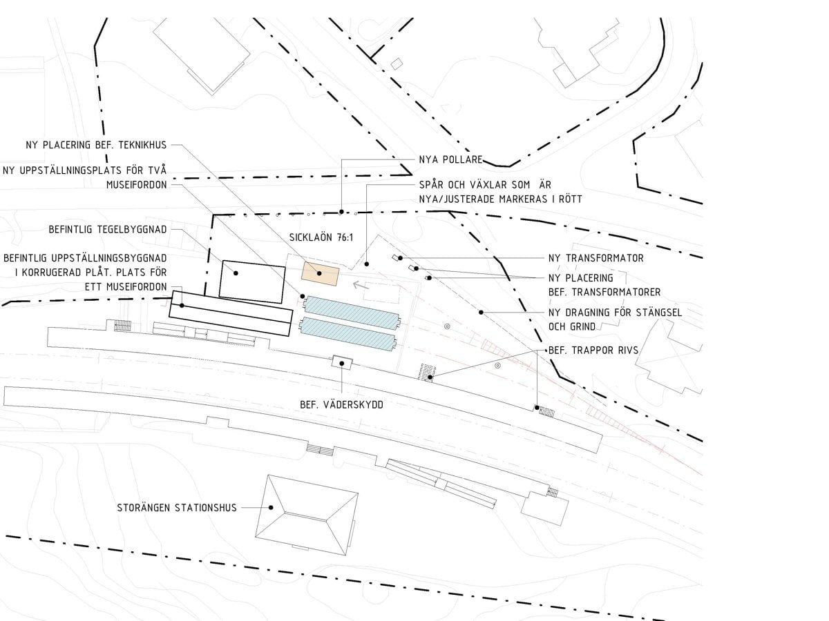
Det ska vi bygga i Neglinge
För att anpassa Neglinge depå till Saltsjöbanans nya fordon X25 planerar vi en omfattande ombyggnad som inkluderar uppförandet av en ny verkstadshall med två underhållsplatser, lagerutrymmen samt lokaler för teknik och personal. Den nya verkstadshallen byggs vid depåområdets norra del, mot Torsvägen.
Den befintliga byggnaden i Neglinge kommer att anpassas invändigt för hantering av de nya fordonen, medan museifordonen som står inom depåområdet flyttas till en ny uppställningsplats vid Storängen.
Det ska vi bygga i Storängen
Saltsjöbanans veterantåg saknar idag uppställningsplatser med nödvändigt skydd mot vädrets makter som kan förhindra tågens förfall. Idag står en av vagnarna i ett uppställningsskjul i Storängen medan två vagnar står utomhus vid Neglingedepån. Därför planerar vi att bygga en ny uppställningsplats under tak med utrymme för fler vagnar i Storängen.
Det befintliga uppställningsskjulet vid Solsidans station och en äldre, angränsande teknikbyggnad rivs för att ge plats för den nya uppställningsplatsen. Arean för den nya byggnaden blir ungefär dubbelt så stor som bebyggelsen som rivs. Uppställningshallens höjd kommer vara ungefär samma som dagens uppställningsskjul.
Preliminär tidplan
Det är ännu något år kvar tills vi planerar att sätta spaden i marken. Först ut är vi i Storängen under 2026. Där beräknas arbetena ta cirka 9 månader. Under 2027 drar vi igång arbetena i Neglinge, som beräknas ta cirka två år att slutföra.
- Samråd: 2024-02-09 – 2024-03-27
- Granskning: 2024-11-28 – 2025-01-09
- Antagande: 2025-05-25 – 2025-06-18
- Projektering och planering: Slutet av 2023 – slutet av 2025
- Byggtid Storängen: 2026
- Byggtid i Neglinge: Inleds i början av 2027
Samråd & granskning avslutad
Samråd och granskning hölls av Nacka kommun och gav möjlighet att tycka till om planförslaget. De åsikter som inkommit har samlats ihop och planförslaget anpassades inför antagandet av detaljplanen.
Miljö- och stadsbyggnadsnämnden väntas anta detaljplanen 18 juni 2025. Läs mer om planprocessen på Nacka kommuns webb.
Nacka kommuns webbplats för Neglinge depå(Extern länk)
Den nya verkstadshallen byggs längs med Torsvägen.
Omgivningspåverkan - under och efter byggtiden
Du som bor eller arbetar nära depån kan komma att märka av arbetena - både under och efter byggtiden. Vi arbetar för att minimera störningarna och omgivningspåverkan.
Läs mer om hur du kan påverkas av projektet.
Så kommer de nya byggnaderna att se ut
Den nya depåbyggnaden utformas med områdets estetik och kulturella arv i åtanke. Den nya byggnaden i Neglinge kommer att ha en brun träfasad och växtlighet på taket, med fokus på låg visuell påverkan.
Vi har löpande dialog med Nacka kommun för att säkerställa att den slutliga designen uppfyller både funktionella krav och estetiska förväntningar.
Konstnärlig utsmyckning
Sedan 1971 finns ett formellt beslut att Region Stockholm ska avsätta medel enligt procentregeln för konstnärlig gestaltning och så även i detta projekt.
De ytor som pekats ut som lämpliga för konst är på fasaderna på den nya verkstadshallen, både synligt från Torsvägen och från Saltsjöbanans perrong.


Mer information
- Uppdaterad: 17 juni 2025